Osteoarthritis
New Braunfels, TX
Locally Owned Veterinary Hospital
Comprehensive, Compassionate Veterinary Care
Because Pets are Family
Request Lorem Epsom
Hero Request Form
Thank you for contacting us.
We will get back to you as soon as possible.
Please try again later.
Manage Your Pet's Osteoarthritis with Compassionate Care
At Allure Veterinary Hospital & Urgent Care, we understand the challenges of managing osteoarthritis in your beloved pets. Our dedicated team is committed to providing comprehensive care for pets suffering from this degenerative joint condition. We offer a range of treatments and services to help alleviate pain, improve mobility, and enhance your pet's quality of life. Our services include:
- Thorough physical examinations
- Advanced diagnostic imaging
- Customized pain management plans
- Nutritional counseling
- Physical therapy and rehabilitation
- Surgical interventions when necessary
- Holistic treatment options
Don't let osteoarthritis diminish your pet's joy.Reach out to us today to explore how we can help your furry friend live a more comfortable life.
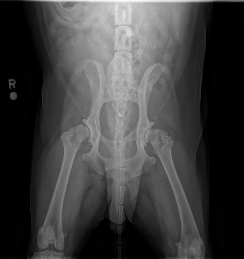
Recognizing and Addressing Osteoarthritis in Pets
Osteoarthritis is a common condition that affects many pets, especially as they age. It's crucial to be aware of the signs and seek timely intervention. Here are some reasons why your pet may need osteoarthritis care:
- Difficulty getting up or lying down
- Reluctance to jump or climb stairs
- Limping or favoring certain limbs
- Decreased activity or playfulness
- Visible joint swelling
- Changes in behavior or irritability
- Licking or chewing at joints
Early detection and management of osteoarthritis can significantly improve your pet's comfort and mobility. Our experienced veterinary team at Allure Veterinary Hospital & Urgent Care is equipped to provide tailored care for your pet's specific needs.
How Rehabilitation Can Help Pets with Arthritis
Arthritis causes degeneration of cartilage, but rehabilitation can still play a vital role in supporting these patients. While cartilage damage is significant, it is only part of the story. Other impacts of arthritis include:
- Pain: All innervated structures around the joint—including the joint capsule, synovium (lining), bone, ligaments, and muscles—can be affected.
- Periarticular fibrosis: Scar tissue around the joint decreases range of motion and flexibility.
- Muscle atrophy and weakness: Inactivity and nervous system changes contribute to muscle loss.
- Loss of coordination and proprioception: Impaired muscle control reduces the joint’s natural protection during movement.
- Myofascial trigger points: “Knots” can develop in muscles attempting to compensate for weakness.
All of these changes present opportunities for rehabilitation to positively impact your pet’s comfort, posture, and mobility. Contact us to learn how we can help improve your pet’s quality of life!
Why Choose Allure Veterinary Hospital & Urgent Care
When it comes to managing your pet's osteoarthritis, Allure Veterinary Hospital & Urgent Care stands out as a premier choice in Central Texas. Here's why pet owners trust us with their furry family members:
- Competitive pricing for high-quality veterinary care
- Transparent, upfront estimates for all services
- No additional fees for emergency visits
- Local, family-owned, and woman-owned business
- Optional holistic veterinary care approaches
- Convenient onsite pharmacy for immediate medication needs
- Over 20 years of experience in veterinary medicine
Our commitment to your pet's well-being extends beyond just treating symptoms. We focus on comprehensive care that addresses the root causes of osteoarthritis and promotes overall health.
Contact Us
Don't let osteoarthritis limit your pet's happiness and mobility. At Allure Veterinary Hospital & Urgent Care, we're dedicated to providing compassionate, effective care for pets suffering from this condition. Our team is ready to create a personalized treatment plan that suits your pet's unique needs and your lifestyle.
Contact us today to schedule a consultation and take the first step towards improving your pet's quality of life. Together, we can help your furry friend enjoy more comfortable, active days ahead.
- Bullet text
- Bullet text
- Bullet text
- Bullet text
- Bullet text
- Bullet text
- Bullet text
- Bullet text
- Bullet text
- Bullet text
Title or Question
Describe the item or answer the question so that site visitors who are interested get more information. You can emphasize this text with bullets, italics or bold, and add links.Title or Question
Describe the item or answer the question so that site visitors who are interested get more information. You can emphasize this text with bullets, italics or bold, and add links.Title or Question
Describe the item or answer the question so that site visitors who are interested get more information. You can emphasize this text with bullets, italics or bold, and add links.
Gallery Heading H2
Reviews

On-Site Pharmacy
Contact us today






